Nautilus
Новости со всего света
18:04 29 октября 2025
Иерусалим 24 Тель-Авив 26 Хайфа 25
$ 3.248 £ 4.299 € 3.781 ₽ 0.041 ₴ 0.077
Nautilus
Новости со всего света
18:04 29 октября 2025
Иерусалим 24 Тель-Авив 26 Хайфа 25

Всё по теме

29.10 Israel Ride стартовал впервые после атак 7 октября 2023 года

В Израиле вновь прошел велопробег Israel Ride: более 100 велосипедистов отправились из Иерусалима в Эйлат в недельное путешествие.

29.10 Israel Ride стартовал впервые после атак 7 октября 2023 года

В Израиле вновь прошел велопробег Israel Ride: более 100 велосипедистов отправились из Иерусалима в Эйлат в недельное путешествие.

29.10 Товарищеский матч женских сборных. Тунис - Ливия 16:0

В товарищеском матче женских сборных команда Туниса разгросмила сборную Ливии 16:0.

29.10 Баскетбол. Израильтянин Дэнни Вульф отправлен в фарм-клуб «Бруклин Нетс»

Руководство клуба "Бруклин Нетс" приняло решение отправить форвардов-новичков Дэнни Вулфа и Дрейка Пауэлла в в "Лонг-Айленд Нетс".

29.10 Защитник «Далласа» задержан в аэропорту за попытку провоза марихуаны

Защитник «Даллас Мэверикс» Брэндон Уилльямс арестован в аэропорту Далласа за попытку пронести 1.3 унции марихуаны.

29.10 Аврам Грант уходит с поста главного тренера сборной Замбии

Федерация футбола Замбии и Авраам Грант договорились о досрочном расторжении контракта.

29.10 «Наполи» лидирует. Результаты матчей чемпионата Италии

В матче девятого тура чемпионата Италии «Наполи» в гостях обыграл «Лечче» 1:0. Неаполитанцы лидируют.

29.10 Фабрицио Романо: новым главным тренером «Ювентуса» будет Лучано Спалетти

Инсайдер Фабрицио Романо сообщил в сети Х, что новым главным тренером «Ювентуса» станет Лучано Спалетти.

29.10 «Милуоки» победил «Нью-Йорк». Результаты матчей НБА

Состоялись матчи регулярного чемпионата НБА."Милуоки" победил "Нью-Йорк" 121:111.

Отдых и путешествия

29.10.2025 Mig News
Arkia совершила свой первый рейс в Баку
Посол Израиля в Азербайджане Ронен Краус, его заместитель Авив Зель и консул Павел Левин Бренер встретили в аэропорту первый рейс, выполненный израильской авиакомпанией Arkia.

Спорт

Женский юниорский чемпионат мира по футболу. Сборная КНДР вышла в четвертьфинал

Начались матчи плэй-офф женского юниорского чемпионата мира по футболу , который проходит в Марокко.

29.10.2025 12:08 NewsRu

Начались матчи плэй-офф женского юниорского чемпионата мира по футболу (спортсменки до 17 лет), который проходит в Марокко.

Аврам Грант уходит с поста главного тренера сборной Замбии

29.10.2025 NewsRu
Федерация футбола Замбии и Авраам Грант договорились о досрочном расторжении контракта.

«Наполи» лидирует. Результаты матчей чемпионата Италии

29.10.2025 NewsRu
В матче девятого тура чемпионата Италии «Наполи» в гостях обыграл «Лечче» 1:0. Неаполитанцы лидируют.

Стиль жизни

29.10.2025 Mig News
Прогноз погоды в Израиле 29 октября: тепло и без осадков
По прогнозу синоптиков, ожидается небольшое понижение температуры, но все равно будет теплее, чем должно быть в этом сезоне. В Израиле будет переменная облачность без осадков.

Культура

28.10.2025 Mig News
Легендарная группа Bon Jovi вернется с мировым турне
Группа Bon Jovi вернется на сцену после четырехлетнего перерыва, который был взят из-за операции Джона Бон Джови на голосовых связках. Мировое турне стартует 28 акгуста 2026 года в Эдинбурге.

Мнение

Как шантаж террористов становится дипломатией
Эхо FM Александр Подрабинек
Это операция по спасению ни в чем не повинных людей, а не решение геополитического конфликта. Недопустимо, чтобы вопросы создания палестинского государства решались с помощью преступлений против мирного населения Израиля, а мир принимал это как должное.

Ревью

Кто стоит за ограблением Лувра?
Haqqin Дмитрий Рой
Это рынок, живущий по своим законам. Его продукт — не искусство, а право на тайное владение. Его валюта — власть и влияние. Его игроки — те, для кого музейные залы стали всего лишь витринами уязвимости. Пока мир восхищается репродукциями, оригиналы живут своей второй, тайной жизнью. Ограбление…

Аналитика

Катар всемирного масштаба
Гордиев узел Ближнего Востока Ксения Светлова
В США у Катара 31 зарегистрированный лоббист по закону FARA, из них 22 базируются в Вашингтоне — это самый высокий показатель среди всех крупных лоббирующих стран. С 2016 года Катар потратил почти 250 млн долларов на 88 лоббистских и PR-фирм, проведя 627 личных политических встреч в период…

Фотография дня

25.10.2025 Nautilus
Вечер над Курой
Тбилиси (Грузия)
Кинерет
«Время»

Срочно

29.10.2025 Cursor Info
В израильских супермаркетах возник новый дефицит - оценка
Обозреватель Мейрав Кристал в материале от 29 октября поднимает вопрос о том, не является ли текущий дефицит сливок 38% результатом искусственных действий производителей.

В это время

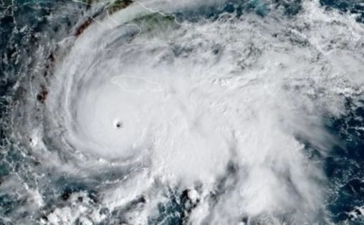
29.10.2025 Mig News
Ураган Мелисса обрушился на Кубу через несколько часов после опустошения…
Ураган Мелисса обрушился на южное побережье восточной Кубы в среду, 29 октября спустя несколько часов после того, как вызвал разрушения на соседней Ямайке, став самым сильным циклоном за всю историю…

В это время

29.10.2025 9tv
МККК прикинулся неосведомленным. Израильский МИД: примите меры против лжи
Красный Крест осудил подлую инсценировку ХАМАСа.

Срочно

29.10.2025 Cursor Info
Шок в Египте: мужчина убил женщину и троих ее детей
В Египте раскрыто одно из самых шокирующих…
Created by: