Nautilus
Новости со всего света
17:54 1 ноября 2025
Иерусалим 28 Тель-Авив 26 Хайфа 25
$ 3.249 £ 4.266 € 3.755 ₽ 0.04 ₴ 0.078
Nautilus
Новости со всего света
17:54 1 ноября 2025
Иерусалим 28 Тель-Авив 26 Хайфа 25

Главные новости

В это время

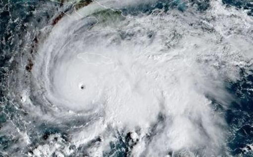
Мелисса рассеивается, оставляя после себя разрушения и не менее 50 погибших

«Мелисса», один из самых мощных штормов, когда-либо обрушивавшихся на Карибские острова, начал рассеиваться в пятницу (31 октября), посеяв разрушения на большей части Ямайки, отрезав населенные пункты на Кубе, затопив Гаити и унеся с собой по меньшей мере 50 жизней.

01.11.2025 12:00 Mig News

"Мелисса", один из самых мощных штормов, когда-либо обрушивавшихся на Карибские острова, начал рассеиваться в пятницу (31 октября), посеяв разрушения на большей части Ямайки, отрезав населенные пункты на Кубе, затопив Гаити и унеся с собой по меньшей мере 50 жизней.

"Мелисса" стала самым мощным штормом, когда-либо…

Читать дальше

В Бат-Яме расследуют загадочное убийство 25-летней модели – первые подробности

01.11.2025 Cursor Info
25-летний израильский модель Даниэль Марзико был найден мёртвым в своей квартире в Бат-Яме. По данным полиции, сообщение о случившемся поступило в полдень в пятницу.

Стрельба на острове Крит, много раненых - подробности

01.11.2025 Cursor Info
В греческой деревне Ворития на острове Крит произошла массовая стрельба, в результате которой погибли мужчина и женщина. По данным полиции, ещё не менее десяти человек получили ранения различной…

Ближний Восток

01.11.2025 NewsRu
Иордания и Германия требуют мандат ООН для размещения международных сил в…
Представители Иордании и Германии заявили, что международные силы, которые планируется разместить в секторе Газы, могут действовать только при наличии мандата Совета Безопасности ООН.

Политика

01.11.2025 Mig News
В США подтвердили подготовку к визиту президента Сирии
Президент Сирии Ахмеда аш-Шараа посетит Вашингтон с официальным визитом. Спецпосланник Трампа Том Баррак выразил надежду на то, что Сирия присоединится к коалиции по борьбе с ИГИЛ.

Аналитика

…Далее: везде
Тьма с Востока Андрей Ланьков
Некоторое количество северокорейских пилотов находились в составе сирийских ВВС и во время Арабо-Израильской войны 1973 года. В ходе войны 1973 года, которая часто именуется в западной литературе «Войной Судного дня», северокорейские лётчики присутствовали не только в сирийской, но и в египетской…

Площадка

Наконечник копья
Facebook Михаил Спивак
Ладно, дебилы в студенческих кампусах не понимают и верят, что эти деньги «на борьбу с голодом», но люди в правительствах прекрасно знали и знают, куда и на что идут их деньги. Они сознательно финансировали инфраструктуру террора. Левое глобалистское движение – вот та гидра, которая вырастила,…

Ревью

Уже приплыли
ИсраГео Виктор Шендерович
Не чувствуя опасности, либеральная идеология тем временем обросла всем, что мы знаем про любую правящую идеологию: нахрапом, демагогией, презрением к праву, администрированием, табуированием тем. Как раз в районе «культуры отмены» у меня, бывшего советского человека, и зажглась в мозгу красная…

Мнение

Раз и навсегда: фашизм – это не правое движение
Kontinent USA Роберта Коул
По мере того как Гитлер укреплял власть, социальное планирование всё глубже внедрялось в общество. Когда центральная группа начала диктовать экономические и социальные решения, следующим шагом стало подавление инакомыслия – через страх и запутывание. Это быстро привело к созданию тоталитарного…

Мировая пресса

Министр, «Майбах» и экономика Израиля
Nautilus Экономика и финансы
Иногда нам рассказывают о громких «экзитах» — вроде продажи WIZ за 43 миллиарда долларов — и гордо отмечают, что государство получило 25% налога. И это прекрасно! Вот только денег, утекших за границу из-за дурацкой налоговой политики, было минимум в пятьдесят раз больше. На эти суммы можно было бы…

Медицина и здоровье

01.11.2025 Mig News
Прогноз магнитных бурь на ноябрь-2025: даты и советы для…
Магнитные бури в ноябре 2025 года могут повлиять на давление, сон и самочувствие. Опубликован прогноз по датам и рекомендациям для метеочувствительных.

Медицина и здоровье

01.11.2025 Mig News
Прогноз магнитных бурь на ноябрь-2025: даты и советы для…
Магнитные бури в ноябре 2025 года могут повлиять на давление, сон и самочувствие. Опубликован прогноз по датам и рекомендациям для метеочувствительных.

Из газет и журналов

01.11.2025 NewsRu
В Гизе после 20 лет строительства открывается Большой Египетский музей
Вечером 1 ноября в Гизе, рядом со знаменитыми пирамидами, состоится церемония открытия Большого Египетского музея. На нее прибудут 79 иностранных делегаций.

Из газет и журналов

01.11.2025 NewsRu
В США умер известный кинооператор Адам Гринберг, снявший «Терминатора»
31 октября в Лос-Анджелесе (Калифорния, США) в возрасте 89 лет скончался Адам Гринберг – известный кинооператор, работавший в Израиле и США.
Created by: