Nautilus
Новости со всего света
21:09 29 октября 2025
Иерусалим 24 Тель-Авив 26 Хайфа 25
$ 3.242 £ 4.288 € 3.773 ₽ 0.041 ₴ 0.077
Nautilus
Новости со всего света
21:09 29 октября 2025
Иерусалим 24 Тель-Авив 26 Хайфа 25

Главные новости

В это время

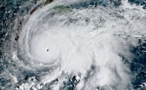
Ураган Мелисса обрушился на Кубу через несколько часов после опустошения Ямайки

Ураган Мелисса обрушился на южное побережье восточной Кубы в среду, 29 октября спустя несколько часов после того, как вызвал разрушения на соседней Ямайке, став самым сильным циклоном за всю историю наблюдений, обрушившимся на это островное государство Карибского бассейна.

29.10.2025 17:46 Mig News

Ураган Мелисса обрушился на южное побережье восточной Кубы в среду, 29 октября спустя несколько часов после того, как вызвал разрушения на соседней Ямайке, став самым сильным циклоном за всю историю наблюдений, обрушившимся на это островное государство Карибского бассейна.

В последнем отчете Национального центра США по…

Читать дальше

Ураган Мелисса обрушился на Кубу через несколько часов после опустошения Ямайки

29.10.2025 Mig News
Ураган Мелисса обрушился на южное побережье восточной Кубы в среду, 29 октября спустя несколько часов после того, как вызвал разрушения на соседней Ямайке, став самым сильным циклоном за всю историю…

МККК прикинулся неосведомленным. Израильский МИД: примите меры против лжи

29.10.2025 9tv
Красный Крест осудил подлую инсценировку ХАМАСа.

Ближний Восток

29.10.2025 NewsRu
Глава правительства Катара обвинил ХАМАС в нарушении перемирия в Газе и…
Премьер-министр и министр иностранных дел Катара шейх Мухаммад бин Абд ар-Рахман аль Тани, выступая в Совете по международным делам США, обвинил ХАМАС в нарушении режима прекращения огня в секторе…

Политика

29.10.2025 Mig News
Нетаниягу посетил штаб по наблюдению за прекращением огня
Премьер-министр Биньямин Нетаниягу совершил свой первый визит в Гражданско-военный координационный центр в Кирьят-Гате - штаб-квартиру многонациональных сил, наблюдающих за прекращением огня в Газе.

Мнение

Как шантаж террористов становится дипломатией
Эхо FM Александр Подрабинек
Это операция по спасению ни в чем не повинных людей, а не решение геополитического конфликта. Недопустимо, чтобы вопросы создания палестинского государства решались с помощью преступлений против мирного населения Израиля, а мир принимал это как должное.

Ревью

Кто стоит за ограблением Лувра?
Haqqin Дмитрий Рой
Это рынок, живущий по своим законам. Его продукт — не искусство, а право на тайное владение. Его валюта — власть и влияние. Его игроки — те, для кого музейные залы стали всего лишь витринами уязвимости. Пока мир восхищается репродукциями, оригиналы живут своей второй, тайной жизнью. Ограбление…

Аналитика

Катар всемирного масштаба
Гордиев узел Ближнего Востока Ксения Светлова
В США у Катара 31 зарегистрированный лоббист по закону FARA, из них 22 базируются в Вашингтоне — это самый высокий показатель среди всех крупных лоббирующих стран. С 2016 года Катар потратил почти 250 млн долларов на 88 лоббистских и PR-фирм, проведя 627 личных политических встреч в период…

Мировая пресса

Флаговые войны докатились до Нидерландов
Spectator Аналитика и прогнозы
Некоторые утверждают, будто нидерландский флаг «присвоен» крайне правыми и используется на антиэмигрантских митингах. Это чепуха. Флаг принадлежит всем. И, по правде говоря, те самые либеральные демократы, что когда-то пытались водрузить в парламенте флаг ЕС, теперь с гордостью укутываются в…

Площадка

Конец движения Каплан
Facebook Моше Коэн Элия
Если левое крыло хочет выжить — ему необходимо перезапустить себя и отмежеваться от этого безумия. Ему следует извергнуть из своих рядов капланизм. Ведь пятно 7 октября никогда не смоется. Клеймо позора останется на лбах тех безответственных людей, которые призывали распустить армию и довели нас до…

Бизнес и финансы

29.10.2025 Mig News
Nvidia первой в мире достигла оценки в 5 триллионов долларов
Nvidia в среду, 29 октября, стала первой компанией в мире, которая достигла рыночной стоимости в $5 трлн. Три с половиной месяца назад она же стала первой в мире с капитализацией $4 трлн, опередив…

Бизнес и финансы

29.10.2025 Mig News
Nvidia первой в мире достигла оценки в 5 триллионов долларов
Nvidia в среду, 29 октября, стала первой компанией в мире, которая достигла рыночной стоимости в $5 трлн. Три с половиной месяца назад она же стала первой в мире с капитализацией $4 трлн, опередив…

Медицина и здоровье

29.10.2025 Mig News
Имплантат без батарей поможет врачам следить за сращением позвонков
Исследователи из Университета Питтсбурга создали инновационный имплантат, который генерирует энергию самостоятельно и передаёт данные о заживлении позвоночника без использования батарей и…

Медицина и здоровье

29.10.2025 Mig News
Имплантат без батарей поможет врачам следить за сращением позвонков
Исследователи из Университета Питтсбурга создали инновационный имплантат, который генерирует энергию самостоятельно и передаёт данные о заживлении позвоночника без использования батарей и…
Created by: